¡Valoración Guardada!
Sólo lo verás tú
¡Comentario guardado!
Añade tu valoración y/o un comentario para este anuncio. Sólo lo verás tu
Oportunidad 550.000 € Avísame si baja

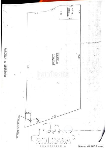
Chalet mágnifico chalet independiente en urb. las aceñas () con piscina y nave de 200m en parcela urbana de 3700m en Simancas

Camino Viejo de Simancas

  • 830 m2
  • 8 hab.
  • 5 baños
  • 663 €/m2

Mágnifico Chalet independiente en Urb. Las Aceñas (Simancas) con Piscina y nave de 200m en Parcela URBANA de 3700m

Magnifica finca urbana en urbanización Las Aceñas en Camino viejo de Simancas con una superficie de parcela de 3700m con un chalet independiente de 536m y una nave/garaje de 198m. La vivienda tiene dos alturas (baja +1) y sótano, consta de 8 dormitorios (6 en planta baja), 5 baños, Amplio Salón y Cocina amueblada, 3 trasteros, amplia terraza, porche cerrado de 12m, Sótano de 233m distribuído en amplio garaje para varios coches, bodega acondicionada, almacen y baño. La nave tiene una superficie de 198m y la zona deportiva con la piscina de unos 79m. La vivienda se encuentra para entrar a vivir, tiene suelos de gress, ventanas dobles de aluminio, calefaccion de gas.
La zona de huerto (actualmente sin usar), se puede segregar y en el cual se puede construir viviendas unifaniliares (consultar condiciones urbnanísticas)
La finca se encuentra en plena urbanización Las Aceñas en el termino municipal de Simancas con facil acceso a la Autovia de Castilla y al lado de parada de autobus urbano de Valladolid.
Llámenos para mas información y visitas a SOLCASA Inmobiliaria Telf: 9_8_3_3_6_1_2_2_6 o pase por nuestra oficina en C/Fuente el sol 9Bis (Local SOLCASA) en Barrio de La Victoria (Valladolid)
Profesioanles del sector desde 2005!
Honorarios agencia incluidos en precio, no cobramos comisión al comprador

última modificación

Distribución

  • 8 habitaciones
  • Superficie 830 m2
  • Terraza 20 m2
  • Terreno 3700 m2
  • 5 Baños
  • Cocina tipo office: No

Características generales

  • Calefacción
  • Chimenea
  • Piscina propia
  • Plaza parking
  • Sin aire acondicionado
  • Año construcción 1989
  • Cerca de transporte público
  • Certificado energético :
    Consumo:
    G
    999 kW h m2 / año
    Emisiones:
    G
    999 kg CO2 m2 / año
Anuncio: 35449000000272

Ubicación

Camino Viejo de Simancas

Navega por el mapa haciendo clic sobre él
550.000 € Precio del anuncio
2.261 €/m2€/m2 comarca
663 €/m2€/m2 del anuncio
71% más barato que la media*
Ver evolución €/m2 en Simancas
¿Te avisamos cuando tengamos un anuncio como este? Crea tu alerta y nosotros te avisaremos por correo electrónico cuando hayan anuncios nuevos o que sean modificados
 

Contactar SOLCASA INMOBILIARIA

Referencia del anuncio habitaclia/CH231:

Verás el teléfono después de enviar tu contacto al anunciante para que te pueda atender.
Verás el teléfono después de contactar
Enviando...