¡Valoración Guardada!
Sólo lo verás tú
¡Comentario guardado!
Añade tu valoración y/o un comentario para este anuncio. Sólo lo verás tu
480.000 € Avísame si baja

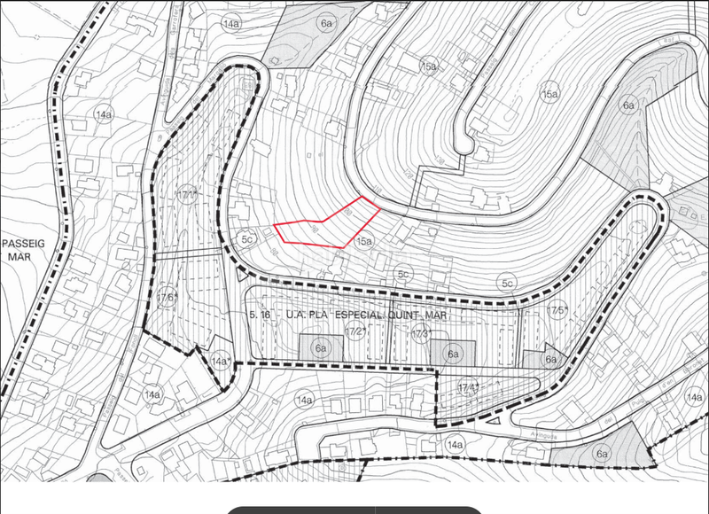
Terreno residencial en Levantina - Montgavina - Quintmar Sitges

  • 1.491 m2
  • 322 €/m2

Parcela de terreno, solar, señalada con el número VEINTICUATRO, de la manzana B1, de la Urbanización Quint-Mar, de SITGES, con frente a la AVENIDA GARROFERS, Número 42. Tiene una total SUPERFICIE de mil quinientos treinta y siete metros, cuarenta y siete decímetros cuadrados. LINDA: norte, en dos líneas de veintiocho metros ochenta centímetros y cuarenta y cuatro metros cincuenta y cinco centímetros, parcela número 23 de la misma manzana; sur, en línea de cincuenta y un metros dieciocho centímetros, parcelas número 43, 44, 45 y 46 de la misma manzana; este, en línea de dieciséis metros, Avenida de situación y en línea de treinta y siete metros ochenta y dos centímetros, parcela número 25; oeste, en línea de quince metros veintisiete centímetros, parcelas número 47 y 48 de la misma manzana.

última modificación

Distribución

  • Superficie 1491 m2
Anuncio: 15471000068574

Ubicación

Levantina - Montgavina - Quintmar

Navega por el mapa haciendo clic sobre él
¿Te avisamos cuando tengamos un anuncio como este? Crea tu alerta y nosotros te avisaremos por correo electrónico cuando hayan anuncios nuevos o que sean modificados
 

Contactar iad ESPAÑA

Referencia del anuncio habitaclia/153950:

Verás el teléfono después de enviar tu contacto al anunciante para que te pueda atender.
Verás el teléfono después de contactar
Enviando...