¡Valoración Guardada!
Sólo lo verás tú
¡Comentario guardado!
Añade tu valoración y/o un comentario para este anuncio. Sólo lo verás tú
Oportunidad 35.000 € Avísame si baja

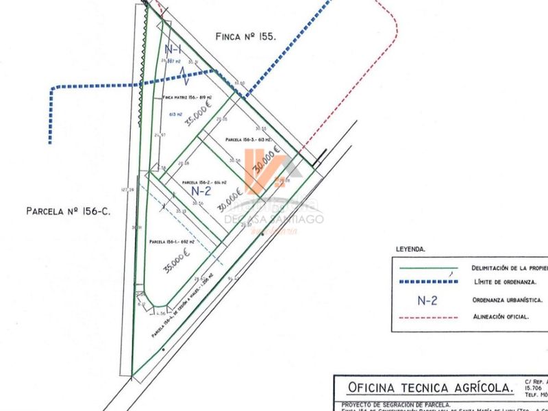
Terreno residencial en rua loureiro parcela edificable en luou en Teo

Rua Loureiro, 4 4

  • 613 m2
  • 57 €/m2

PARCELA EDIFICABLE EN LUOUTEO

PARCELA EN VENTA EN TEO.
Vendemos esta parcela edificable situada en el ayuntamiento de Teo, más concretamente en la parroquia de Luou.
Está situada en una zona elevada por lo que dispone de unas agradables vistas de la zona.
Dispone de todos los servicios: saneamiento, traída de agua, electricidad, etc...
Ordenanza N-2 del PXOM de Teo por lo que tiene una edificabilidad de 0.30m2/m2 y una ocupación máxima del 40%.
Es tu oportunidad para vivir en una vivienda unifamiliar disfrutando de la tranquilidad del campo.
#ref:PAR_2739 (4)

Última modificación

Distribución

  • Superficie 613 m2
Anuncio: 31179000000958

Ubicación

Rua Loureiro, 4 4

Navega por el mapa haciendo clic sobre él
¿Te avisamos cuando tengamos un anuncio como este? Crea tu alerta y nosotros te avisaremos por correo electrónico cuando hayan anuncios nuevos o que sean modificados
 

Contactar DECASA SANTIAGO INMOBILIARIA

Referencia del anuncio habitaclia/PAR_2739 (4):

Verás el teléfono después de enviar tu contacto al anunciante para que te pueda atender.
Verás el teléfono después de contactar
Enviando...