¡Valoración Guardada!
Sólo lo verás tú
¡Comentario guardado!
Añade tu valoración y/o un comentario para este anuncio. Sólo lo verás tu

Finca rústica construye tu sueño! terreno en venta en Gallardos (Los)

CALLE AMAPOLA S N

  • 333 m2
  • 137 €/m2

Construye tu Sueño! Terreno en Venta

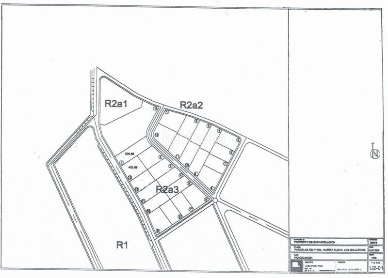
¡Oportunidad de inversión excepcional! Estamos encantados de presentar estas parcelas edificables en los Sectores R2a2 y R2a3 de Huerta Nueva, Los Gallardos. Con un enfoque centrado en la seguridad y la conveniencia, estas parcelas ofrecen un entorno perfecto para construir tu hogar o proyecto comercial.En un esfuerzo por brindar transparencia y garantizar la confianza de nuestros clientes, ofrecemos información detallada sobre las características y oportunidades únicas que cada sector y parcela presentan.Sector R2a2 y R2a3: -Suelo urbano. -Edificabilidad: 0,45. -Precio: 130?/m2Las parcelas disponibles en el Sector R2a2 incluyen:....-Parcela Nº 7: superficie total 333,59 m2, y superficie edificable 150,12 m2...-Parcela Nº 12: superficie total 456,24 m2, y superficie edificable 205,31 m2......Mientras que en el Sector R2a3, las parcelas disponibles son:.. .....-Parcela Nº 1: Superficie total 506,94 m2, y superficie edificable 228,12 m2...-Parcela Nº 4: Superficie total 357,91 m2, y superficie edificable 161,06 m2...-Parcela Nº 5: Superficie total 363,46 m2, y superficie edificable 163,56 m2...-Parcela Nº 7: Superficie total 352,06 m2, y superficie edificable 158,43 m2...-Parcela Nº 8: Superficie total 353,87 m2, y superficie edificable 159,24 m2......Estas parcelas son una inversión segura y prometedora por varias razones. En primer lugar, se encuentran en una ubicación privilegiada con un enorme potencial de desarrollo. Los alrededores ya están experimentando un crecimiento significativo, lo que garantiza un aumento en el valor de la propiedad a largo plazo....Además, cada parcela cuenta con acceso a servicios básicos como agua, electricidad y alcantarillado, lo que facilita el proceso de construcción y garantiza la comodidad para los futuros residentes o usuarios comerciales....La seguridad también es una prioridad en Huerta Nueva. Con precios competitivos, ahora es el momento perfecto para asegurar tu futuro invirtiendo en una propiedad en Huerta Nueva...No pierdas la oportunidad de ser parte de esta vibrante comunidad en crecimiento. ¡Contáctanos hoy mismo para obtener más información y reservar tu parcela antes de que sea demasiado tarde!

última modificación

Distribución

  • Superficie 333 m2
Anuncio: 29368000002490

Ubicación

CALLE AMAPOLA S N

Navega por el mapa haciendo clic sobre él
¿Te avisamos cuando tengamos un anuncio como este? Crea tu alerta y nosotros te avisaremos por correo electrónico cuando hayan anuncios nuevos o que sean modificados
 

Contactar Inmobiliaria Paco Parra

Referencia del anuncio habitaclia/2528:

Verás el teléfono después de enviar tu contacto al anunciante para que te pueda atender.
Verás el teléfono después de contactar
Enviando...