¡Valoración Guardada!
Sólo lo verás tú
¡Comentario guardado!
Añade tu valoración y/o un comentario para este anuncio. Sólo lo verás tu
40.000 € Avísame si baja
ha bajado 129.000 €

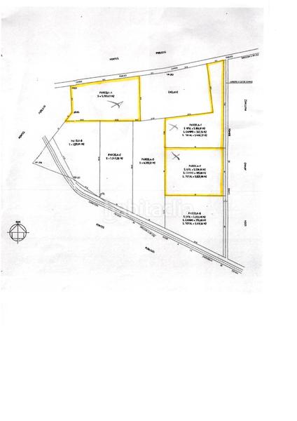
Finca rústica venta tres parcelas rústicas en aledo zona mandola en Totana

  • 5.000 m2
  • 8 €/m2

Venta Tres Parcelas Rústicas en Aledo Zona Mandola

Oportunidad única de inversión en plena naturaleza. Tres terrenos rústicos disponibles en la exclusiva zona de Las Alquerías, en el término municipal de Aledo, muy próximo a Totana.

Cada parcela cuenta con una superficie de 5.000 m², lo que ofrece un amplio abanico de posibilidades para uso agrícola, recreativo o como refugio natural. Están situadas a pie de carretera asfaltada, lo que facilita el acceso durante todo el año con cualquier tipo de vehículo.

Las parcelas no son edificables, pero disponen de posibilidad de conexión a luz y agua, lo que incrementa notablemente su valor y funcionalidad. Ideal para quienes buscan un espacio en contacto con la naturaleza, con fácil acceso y servicios cercanos.

Precio: 40.000 euros cada una.

Ubicación privilegiada, entorno tranquilo y con excelentes vistas al Parque Natural de Sierra Espuña, a tan solo unos minutos del centro de Totana y con buena comunicación por carretera.

Para más información o concertar una visita, no dude en contactar con Inmobiliaria Santa Eulalia.

última modificación

Distribución

  • Superficie 5000 m2
Anuncio: 10216000001071

Ubicación

Navega por el mapa haciendo clic sobre él
¿Te avisamos cuando tengamos un anuncio como este? Crea tu alerta y nosotros te avisaremos por correo electrónico cuando hayan anuncios nuevos o que sean modificados
 

Contactar INMOBILIARIA SANTA EULALIA

Referencia del anuncio habitaclia/3-parcelas-aledo-alquerias-mandola:

Verás el teléfono después de enviar tu contacto al anunciante para que te pueda atender.
Verás el teléfono después de contactar
Enviando...